Save
Ask
Tour
Hide
Share
$695,000
499 Days On Site
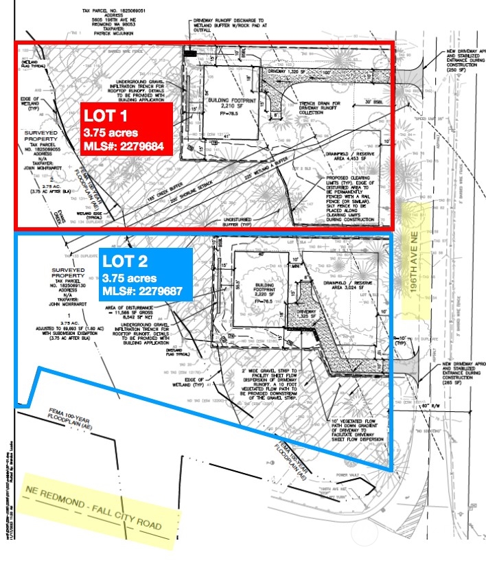
56 196th (LOT 1) Avenue NERedmond, WA98053
For Sale|Land|Pending
Cumulative Days On Market:
457
Subdivision:
Redmond
County:
King
Courtesy of NWMLS
Listing courtesy of Julie Scozzafave of Windermere Real Estate/East
Listing courtesy of Julie Scozzafave of Windermere Real Estate/East
Due to the health concerns created by Coronavirus we are offering personal 1-1 online video walkthough tours where possible.
Call Now: 253-268-1714
Is this the listing for you? We can help make it yours.
253-268-1714

Save
Ask
Tour
Hide
Share
Photos
Map
Nearby Listings
Rare opportunity to build a custom dream home or a Builder spec home in a prime Redmond location (ALL the hard work is done on the development side!). 1 of 2 building permit-ready lots available with the potential to start construction soon! Nestled just minutes from downtown Redmond, Sammamish, Microsoft, parks, top-rated schools, major freeways, and the future light rail system, this location offers unparalleled convenience. Situated in the prestigious Lake Washington School District. GPS 5600 196th Avenue NE, Redmond (lots / FOR SALE signs will be on your left).
Save
Ask
Tour
Hide
Share
Listing Snapshot
Price
$695,000
Days On Site
499 Days
Bedrooms
4
Inside Area (SqFt)
N/A
Total Baths
N/A
Full Baths
N/A
Partial Baths
N/A
Lot Size
3.75 Acres
Year Built
N/A
MLS® Number
2279684
Status
Pending
Property Tax
$4,326
HOA/Condo/Coop Fees
N/A
Sq Ft Source
N/A
Friends & Family
React
Comment
Invite
Recent Activity
| 2 months ago | Listing updated with changes from the MLS® | |
| 2 months ago | Status changed to Pending | |
| a year ago | Listing first seen on site |
General Features
Acres
3.75
Additional Property Use
Residential
Sewer
Septic Tank
Utilities
Electricity AvailableNatural Gas Available
Zoning
Residential
Save
Ask
Tour
Hide
Share
Exterior Features
Lot Features
LevelSlopedPaved
View
Territorial
Waterfront Features
Stream
Waterview
Territorial
Community Features
Financing Terms Available
Conventional
MLS Area
550 - Redmond/Carnation
Roads
Paved
School District
Lake Washington
Schools
School District
Lake Washington
Elementary School
Alcott Elem
Middle School
Evergreen Middle
High School
Eastlake High
Courtesy of NWMLS
Listing courtesy of Julie Scozzafave of Windermere Real Estate/East

Listing information is provided by Participants of the Northwest MLS. IDX information is provided exclusively for personal, non-commercial use, and may not be used for any purpose other than to identify prospective properties consumers may be interested in purchasing. Information is deemed reliable but not guaranteed. Copyright 2026, Northwest MLS.
All data is obtained from various sources and may not have been verified by the broker or MLS Grid. Supplied open house information is subject to change without notice. All information should be independently reviewed and verified for accuracy. Properties may or may not be listed by the office/agent presenting the information.
Last checked: 2026-01-02 04:37 AM PST
Listing courtesy of Julie Scozzafave of Windermere Real Estate/East

Listing information is provided by Participants of the Northwest MLS. IDX information is provided exclusively for personal, non-commercial use, and may not be used for any purpose other than to identify prospective properties consumers may be interested in purchasing. Information is deemed reliable but not guaranteed. Copyright 2026, Northwest MLS.
All data is obtained from various sources and may not have been verified by the broker or MLS Grid. Supplied open house information is subject to change without notice. All information should be independently reviewed and verified for accuracy. Properties may or may not be listed by the office/agent presenting the information.
Last checked: 2026-01-02 04:37 AM PST
Neighborhood & Commute
Source: Walkscore
Save
Ask
Tour
Hide
Share
Did you know? You can invite friends and family to your search. They can join your search, rate and discuss listings with you.