Save
Ask
Tour
Hide
Share
$799,000
7 Days On Site
1408 W Main StreetAuburn, WA98001
For Sale|Commercial Sale|Active
0
Beds
0
Total Baths
—
SqFt
—
/SqFt
1969
Built
Cumulative Days On Market:
8
Subdivision:
Auburn
County:
King
Courtesy of NWMLS
Listing courtesy of Saab Badyal of John L. Scott, Inc
Listing courtesy of Saab Badyal of John L. Scott, Inc
Due to the health concerns created by Coronavirus we are offering personal 1-1 online video walkthough tours where possible.
Call Now: 253-268-1714
Is this the listing for you? We can help make it yours.
253-268-1714
Save
Ask
Tour
Hide
Share
Photos
Map
Nearby Listings
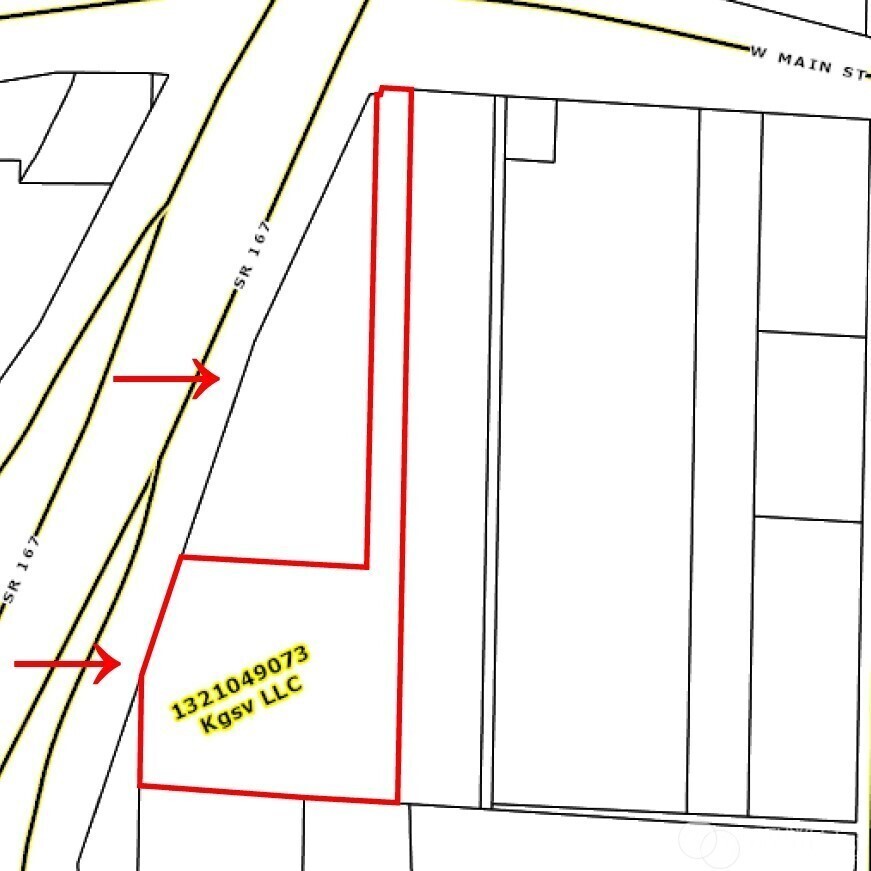
Investor alert! Don’t miss this incredible opportunity to purchase land in the valley, Commercial Zoned. The seller also owns the adjacent property, which is currently being used for commercial purposes. Buyers are advised to verify all information to their own satisfaction, as the seller has not conducted any surveys or studies on the property. Prime location with easy access to Highway 167, just minutes from downtown Auburn. Enjoy close proximity to endless amenities, including the Outlet Collection and much m
Save
Ask
Tour
Hide
Share
Listing Snapshot
Price
$799,000
Days On Site
7 Days
Bedrooms
N/A
Inside Area (SqFt)
0 sqft
Total Baths
N/A
Full Baths
N/A
Partial Baths
N/A
Lot Size
5.7521 Acres
Year Built
1969
MLS® Number
2493963
Status
Active
Property Tax
N/A
HOA/Condo/Coop Fees
N/A
Sq Ft Source
N/A
Friends & Family
React
Invite
Recent Activity
| 5 days ago | Listing updated with changes from the MLS® | |
| a week ago | Listing first seen on site |
General Features
Acres
5.7521
Additional Property Use
Commercial
Utilities
Sewer Connected
Zoning
Business,Commercial
Interior Features
Flooring
Concrete
Heating
ElectricHeat Pump
Save
Ask
Tour
Hide
Share
Community Features
Financing Terms Available
CashConventional
MLS Area
310 - Auburn
Courtesy of NWMLS
Listing courtesy of Saab Badyal of John L. Scott, Inc

Listing information is provided by Participants of the Northwest MLS. IDX information is provided exclusively for personal, non-commercial use, and may not be used for any purpose other than to identify prospective properties consumers may be interested in purchasing. Information is deemed reliable but not guaranteed. Copyright 2026, Northwest MLS.
All data is obtained from various sources and may not have been verified by the broker or MLS Grid. Supplied open house information is subject to change without notice. All information should be independently reviewed and verified for accuracy. Properties may or may not be listed by the office/agent presenting the information.
Last checked: 2026-03-28 01:39 AM PDT
Listing courtesy of Saab Badyal of John L. Scott, Inc

Listing information is provided by Participants of the Northwest MLS. IDX information is provided exclusively for personal, non-commercial use, and may not be used for any purpose other than to identify prospective properties consumers may be interested in purchasing. Information is deemed reliable but not guaranteed. Copyright 2026, Northwest MLS.
All data is obtained from various sources and may not have been verified by the broker or MLS Grid. Supplied open house information is subject to change without notice. All information should be independently reviewed and verified for accuracy. Properties may or may not be listed by the office/agent presenting the information.
Last checked: 2026-03-28 01:39 AM PDT
Neighborhood & Commute
Source: Walkscore
Save
Ask
Tour
Hide
Share