6210 Dash Point Boulevard NETacoma, WA98422
Listing courtesy of Julia Galleher of Keller Williams Realty PS
Due to the health concerns created by Coronavirus we are offering personal 1-1 online video walkthough tours where possible.




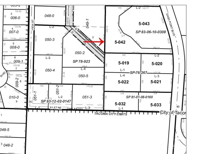
Rare opportunity in Pierce County’s Urban Growth Area! This approx. 0.7-acre parcel offers exciting development potential with a partial short plat for three lots completed, providing a head start for builders and investors. Access to these lots is from Watchtower Rd. NE, yet it looks like there may be access from Dash Point Rd. Located within the UGA, the property benefits from growth-oriented zoning that supports additional residential development (buyer to verify). The site features captivating Puget Sound and mountain views, adding premium appeal for future homes. Recent price point for sales in the area have been over $1,000,000.00+ Utilities are available in the street, and the location offers convenient access while maintaining a sense of privacy. Whether completing the existing short plat, exploring further development potential, or keeping the property as -is and building your own dream estate! This is a standout investment opportunity in a highly desirable setting.
| yesterday | Listing updated with changes from the MLS® | |
| 2 weeks ago | Listing first seen on site |
Listing courtesy of Julia Galleher of Keller Williams Realty PS

Listing information is provided by Participants of the Northwest MLS. IDX information is provided exclusively for personal, non-commercial use, and may not be used for any purpose other than to identify prospective properties consumers may be interested in purchasing. Information is deemed reliable but not guaranteed. Copyright 2026, Northwest MLS.
All data is obtained from various sources and may not have been verified by the broker or MLS Grid. Supplied open house information is subject to change without notice. All information should be independently reviewed and verified for accuracy. Properties may or may not be listed by the office/agent presenting the information.
Last checked: 2026-04-16 04:07 AM PDT